发布时间:2025/02/24 点击数:846 经过修订的“FDA现代化法案3.0”,于2024年12月12日以全票通过的结果获美国参议院批准(下图)。美国立法者非常重视推动FDA实施FDA现代化法案2.0(FDAMA 2.0)的任务,这项于2022年12月成为法律的关键生物医学改革,取消了在药物研发中强制使用人工动物模型的要求,只要可以通过更先行、更具预测性的建模方法(如基于类器官和器官芯片培养的体外模型)来评估药物在人类中的安全性和有效性。通过采用技术驱动的、与人类高度相关的材料和方法来进行药物研发和医疗发现,同时避免使用不可靠且具有误导性的动物试验,将彻底改变当前浪费严重的药物开发模式。

图:美国参议院通过FDA现代化法案 3.0[*]
使用Qkine无动物源生长因子进行(类)肝(Hepatocyte-like )细胞分化
iPSC 衍生的肝细胞分化的进展凸显了将干细胞技术与分子生物学相结合的潜力,从而为肝脏相关疾病的研究、药物发现和再生疗法带来变革。
本文定义了由ipsc生成(类)肝细胞(Hepatocyte-like cell,HLC)的方案和关键注意事项,强调了特定生长因子在实现理想的分化结果中的作用。对于从iPSC 分化出 HLC,本应用说明使用了重组激活素A (Qk001)、BMP-4(Qk038)、FGF2-G3(Qk053)、HGF NK1(Qk013)和OSM (Qk049)。
自2006年诱导多能干细胞(iPSCs)问世以来,它们在研究和治疗开发中引发了一场革命。iPSCs因其能够分化为几乎任何细胞类型的独特特性,成为疾病建模中不可或缺的工具。这一特性使其在研究遗传疾病、感染和癌症方面具有强大的优势。此外,iPSCs在高通量药物筛选和毒性研究中的应用明显推进了我们对多种疾病机制的理解,并支持基于个体遗传特征定制治疗策略[1]。同时,iPSCs作为胚胎干细胞的伦理且可持续的替代方案,进一步拓宽了其在研究和再生医学中的应用范围。
iPSCs的一个关键应用是肝细胞分化,这是再生医学中的重要领域。从iPSCs分化得到的(类)肝细胞(HLCs)展现了许多与原代肝细胞相似的功能。这一进步为肝病研究和个性化治疗方案的开发带来了希望,并可能通过提供一种用于治疗的新细胞来源,缓解对肝移植的需求[2]。此外,HLCs还是研究肝脏代谢、遗传性肝病和药物相互作用的强大模型,在临床试验之前评估药物安全性和肝脏特异性毒性方面具有重要价值。
从iPSCs产生功能性肝细胞需要激活关键信号通路,例如Wnt、activin/nodal、FGF和BMP,以模拟肝脏发育的各个阶段。通过这些信号通路的依次激活支持早期肝细胞的分化,而成熟过程则依赖于肝细胞生长因子(HGF)和瘤抑素M(OSM)等因子[3]。这种对肝脏发育的模拟是获得完全功能性HLCs的关键,这不仅提升了它们在研究肝病进展中的效用,还改善了药物筛选和基因编辑技术的治疗应用。iPSCs来源的肝细胞分化技术的进步,彰显了将前端干细胞技术与分子生物学相结合的潜力,从而革新针对肝脏相关疾病的研究、药物发现和再生疗法。
这份应用说明定义了一种生成HLCs的实验方案及其关键注意事项,并重点介绍了特定生长因子在实现理想分化效果中的作用。
1. 细胞培养和维护
iPSCs每周传代两次,使用0.5 mM EDTA进行细胞消化,并以1:6的分裂比例接种于涂有Vitronectin(Qk120,5 µg/ml)的6孔板中。细胞培养在E8类似培养基中进行,传代后的次日更换为5 ml新鲜的E8类似培养基,以实现weekend-free media change(无需周末更换培养基)的培养流程。有关此过程的更多详细信息,请参阅我们关于无需周末更换培养基的人诱导多能干细胞培养指南(请点击文字查看),该指南特别介绍了使用Qkine的耐热型FGF-2(bFGF)(Qk053)、无动物源的TGF-β1(Qk010)以及Vitronectin(Qk120)的方案,以提升细胞群体的均一性。
2. iPSCs分化为(类)肝细胞
(类)肝分化流程图(图1)概述了将iPSCs分化为(类)肝细胞的具体步骤,并通过肝细胞特异性标志物的表达来评估分化效果。

图1.(类)肝分化与评估的时间表
第0天
使用 Accutase 将iPSCs从培养基中分离,并以每孔150,000个细胞的密度接种于涂有Vitronectin(Qk120,5 µg/ml)的6孔板中,培养基为添加ROCK抑制剂(Y-27632,10 µM)的E8类似培养基。次日(第1天)以及每天直至第5天,细胞使用内胚层培养基(表1)进行培养。

表1. 内胚层培养基。在使用前无菌添加各成分
第5天
使用Accutase将内胚层细胞从培养基中分离,并以每孔150,000个细胞的密度接种于涂有Matrigel(0.25 µg/ml)的6孔板中,培养基为添加ROCK抑制剂(Y-27632,10 µM)的肝细胞内胚层培养基。次日(第6天)以及每天直至第10天,细胞使用肝细胞内胚层培养基(表2)进行培养。

表2. 肝细胞内胚层培养基。在使用前无菌添加各成分
第11天
使用Accutase将肝细胞内胚层细胞从培养基中分离,收集在肝酶分化培养基(表3)中,并以每孔500,000个细胞的密度接种于涂有Matrigel(0.25 µg/ml)的6孔板中。培养基为添加ROCK抑制剂(Y-27632,10 µM)和HGF的肝前体分化培养基(表4)。次日(第12天)以及每天直至第15天,细胞使用添加HGF NK1的肝酶分化培养基(表4)进行培养。

表3. 肝酶分化培养基。在使用前无菌添加各成分

表4. 肝前体分化培养基。在使用前无菌添加各成分
第16天
从第16天到第20天,每天更换培养基,使用1 ml添加了10 µg/ml瘤抑素M(OSM)的肝细胞分化培养基(表5)。

表5. 含OSM的肝细胞分化培养基。在使用前无菌添加各成分
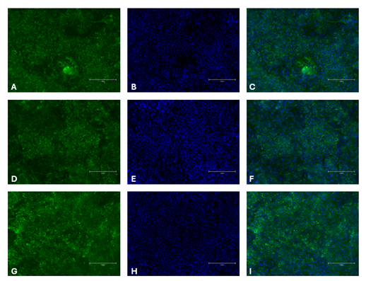
在第21天,用4%多聚甲醛固定细胞,然后使用稀释于0.1% Triton X-100中的10%驴血清进行封闭和透化。针对肝细胞标志物的特异性抗体(如抗白蛋白抗体、抗α1抗胰蛋白酶抗体或抗α1胎蛋白抗体)被用于免疫染色,在4 °C下孵育过夜。随后对细胞进行清洗,并用二级抗体(Goat anti-Rabbit IgG H&L AlexaFluor 488 and Hoechst 33258)染色,再在磷酸盐缓冲液中进行成像(图2)。

图2. 分化后的iPSCs中肝细胞标志物的免疫细胞化学分析
白蛋白[绿色,A]、Hoechst 33258[蓝色,B]、白蛋白与Hoechst结合[C]、α1胎蛋白[绿色,D]、Hoechst 33258[蓝色,E]、α1胎蛋白与Hoechst结合[F]、α1抗胰蛋白酶[绿色,G]、Hoechst 33258[蓝色,H]、α1抗胰蛋白酶与Hoechst结合[I]。图像使用EVOS M5000系统获取(比例尺=150 µm)。
iPSCs在临床和研究应用中的日益重要性源于其独特的能力,即可以分化为人体内所有体细胞类型。成功将iPSCs分化为目标细胞类型(如类肝细胞)的关键在于,在培养过程中保持其多能性并实现均一的分化。使用含有高纯度且具生物活性的生长因子的优化培养基,对于实现效率高、质量高的分化并保证实验的可重复性十分重要。
本文中展示的数据表明,Qkine提供的高纯度生长因子,包括Activin A(Qk001)、FGF2-G3(Qk053)、BMP-4(Qk038)、HGF NK1(Qk013)和OSM(Qk049),能够有效支持iPSCs向(类)肝细胞的分化。这些生长因子不仅能确保稳定且可靠的分化,还能减少实验变异性,这是研究和治疗应用中的关键需求。
该研究强调了高质量试剂在克服iPSCs分化相关挑战(如细胞性能不一致或结果差异)中的重要性。通过使用Qkine提供的无动物源生长因子产品组合,研究人员可以提高长期复杂细胞培养的可重复性,并推动再生医学、药物开发和疾病建模领域的应用发展。
QKine,总部位于英国剑桥,是一家通过 ISO9001:2015 认证的公司。作为蛋白质创新的指引者,产品范围涵盖了多个应用领域,旨在提高您研究的可重复性。QKine积极支持并创新于新兴领域,如类器官和器官芯片、细胞农业、再生医学、合成水凝胶和生物打印等。

[1] Yu Y., Wang X. and Nyberg S.L. Application of Induced Pluripotent Stem Cells in Liver Diseases. Cell Med. 2014 Apr 22;7(1):1-13. doi: 10.3727/215517914X680056.
[2] Mallanna S.K. and Duncan S.A. Differentiation of hepatocytes from pluripotent stem cells. Curr Protoc Stem Cell Biol. 2013 Sep 20;26:1G.4.1-1G.4.13. doi: 10.1002/9780470151808.sc01g04s26.
[3] Luo, Q., Wang, N., Que, H., Mai, E., Hu, Y., Tan, R., Gu, J. and Gong, P. Pluripotent Stem Cell-Derived Hepatocyte-like Cells: Induction Methods and Applications. Int. J. Mol. Sci. 2023, 24, 11592. https://doi.org/10.3390/ijms241411592
[*]https://animalwellnessaction.org/u-s-senate-passes-fda-modernization-act
扫码咨询






